(31) 9 9720-2614 | (31) 2532-2453 contato@tecterra.com.br
  • Facebook
  • Instagram
  • Facebook
  • Instagram
  • SOLICITE UM ORÇAMENTO
Tecterra
  • Sistemas de Monitoramento
    • dTec – Sistema de Detecção de Mudanças
    • Iris - Monitoramento de Movimentação de Terras
    • Vantor Hub
  • Topografia por Satélite
  • Imagens de Satélite
    • 21AT
      • TH 01
      • TripleSat
    • AxelSpace
      • GRUS 1
    • KGS
      • KazEOSat-1
      • KazEOSat-2
    • OMEO
      • Beijing-3 (BJ-3)
      • DailyVision
      • EarthScanner
    • Planet
      • Planet
      • RapidEye
      • SkySat
    • RESTEC
      • AW3D
      • PALSAR-2
    • SI Imaging Services
      • Kompsat-2
      • Kompsat-3
      • Kompsat-3A
      • Kompsat-5
      • TeLEOS-1
    • SpaceWill
      • GaoFen-1 (GF-1)
      • GaoFen-2 (GF-2)
      • SuperView-1
      • SuperView-2
      • SuperView Neo 01&02
      • ZiYuan-3 (ZY-3)
    • Vantor
      • GeoEye-1
      • Ikonos
      • QuickBird
      • Vantor Hub
      • WorldView-1
      • WorldView-2
      • WorldView-3
      • WorldView Legion
  • Serviços
    • Mapeamento aéreo com drone ou tripulado
    • Geoprocessamento
    • Geração de Modelos Digitais de Elevação (MDE)
    • Processamento Digital de Imagens (PDI)
    • Sistemas/Softwares
      • dTec – Sistema de Detecção de Mudanças
      • Rheticus ®
      • SIG/SIG WEB
      • Vantor Hub
    • Topografia e Georreferenciamento
  • Aplicações
    • Agronegócio
    • Altimetria / Curvas de Nível
    • Saneamento e Recursos Hídricos
    • Energia
    • Gestão Municipal
    • Meio Ambiente
    • Mineração
    • Monitoramento por Imagens de Satélite
    • Segurança de Barragens
    • Silvicultura
  • Notícias
    • Notícias
    • Eventos
  • Contato
Escolha uma Página

AW3D

por tecterra | maio 19, 2021

‹ Anterior
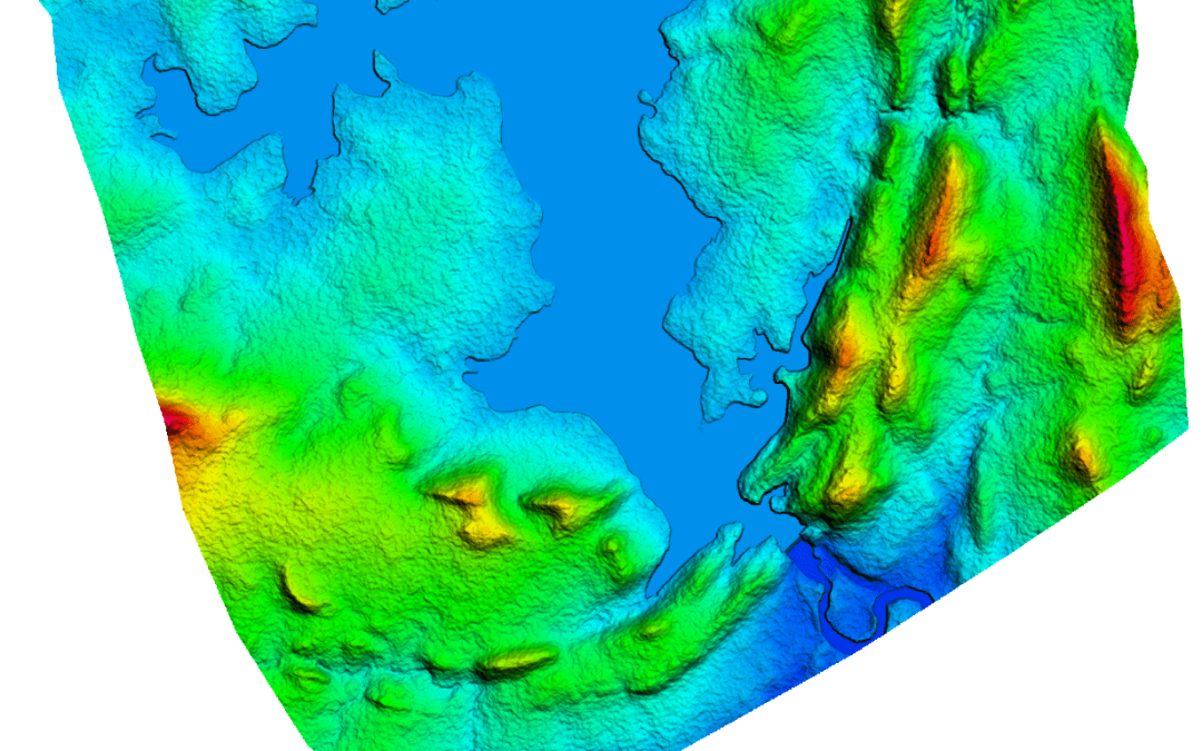
Geração de topografia para estudos de barragens: metodologias e soluções

AW3D Topografia para estudos de barragem

OUTROS SERVIÇOS

  • Topografia por Satélite
  • SIG/SIG WEB
  • Geoprocessamento
  • dTec - Sistema de Detecção de Mudanças
  • Processamento Digital de Imagens (PDI)

ÚLTIMAS NOTÍCIAS

  • Monitoramento da Amazônia com geotecnologias novembro 17, 2025
  • Como usar imagens de satélite para comprovar áreas consolidadas no novo Código Florestal outubro 1, 2025
  • Segurança de Barragens: documentos, prazos legais e dados geoespaciais agosto 25, 2025
  • Mapeamento aéreo com drone: Mercados e aplicações julho 2, 2025
  • Topografia por Satélite: Modernizando Estudos de Dam Break e Segurança de Barragens abril 14, 2025

Quer receber promoções, notícias do mundo das Geotecnologias e novidades da TecTerra diretamente no seu e-mail?

A TecTerra é formada por profissionais com experiência de mais de 20 anos nas áreas Comercial, Técnica, Acadêmica e de Gestão de Projetos em Geotecnologias, como: Imagens de Satélite, Mapeamento Aéreo, Meio Ambiente, Sistemas de Monitoramento por Imagens, Cartografia e Topografia por Satélite.

O que fazemos

  • Mapeamento aéreo com drone ou tripulado
  • Topografia por Satélite
  • Imagens de Satélite
  • Topografia e Georreferenciamento
  • Sistemas / Softwares
  • Processamento Digital de Imagens (PDI)
  • Geração de Modelos Digitais de Elevação (MDE)
  • Geoprocessamento
  • Sistemas de Monitoramento

Belo Horizonte - MG

Av. Raja Gabáglia, 4000| sala 223, Estoril
Belo Horizonte / MG
CEP: 30494-310

(31)  9 9720-2614 (WhatsApp)
(31)  2532-2453

São José dos Campos - SP

(12)  9 9150-1230 (Telefone e WhatsApp)

orcamento@tecterra.com.br

contato@tecterra.com.br

Receba nossas notícias

  • Facebook
  • Instagram
© 2026 Tecterra Geotecnologias e Meio Ambiente Ltda. | Desenvolvido por Agência R2F